
여름의 불청객 태풍이 우려되는 시즌이 다가오고 있다. 최근 연구에 따르면, 동남아의 태풍과 사이클론을 비롯해 대서양에서 발생하는 허리케인 등이 육지에 상륙해도 그 기세가 잘 죽지 않아서 앞으로 더욱 우려되고 있다는 소식이다.
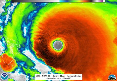
지난 2019년 9월에 발생한 ‘허리케인 도리안(Hurricane Dorian)’ 이 바로 그 대표적 사례다. 5등급의 초특급 허리케인 도리안은 2019년 9월 1일 역대 대서양 허리케인의 최고 풍속을 기록한 시속 295km(185mph)를 유지한 채, 미국 남동부 플로리다와 바하마 군도에 기록적인 피해를 낸 바 있다.
외신에 따르면, 도리안은 속도를 유지한 채 그랜드 바하마 섬에 상륙해 적어도 24시간 동안 이 섬의 북쪽을 질주했는데 이로 인한 피해는 상상을 초월했다. 육지에 장시간 머물며 큰 피해를 내는 허리케인의 비밀은 이제 위성 데이터와 과학자들의 시뮬레이션 기법을 통해 서서히 그 원인이 밝혀지고 있다.
육지에 오르자, 더 강해진 허리케인
일반적으로 허리케인은 육지에 닿으면, 에너지원과 단절되고 지면과의 마찰력으로 대부분 급격히 힘을 잃기 시작한다는 것이 과학계의 정설이다.
그러나 최근의 연구는 조금 다른 주장에 힘을 싣고 있다. 지난 2020년 11월 11일 자, 미국의 뉴스 웹사이트 ‘더 버지(The Verge)’에는 “허리케인이 해안으로 이동한 후, 더 많은 힘을 유지하고 있는데 기후변화가 육지에 상륙한 후의 허리케인에 영향을 미친다.”라는 내용의 기사가 실렸다.
새로운 연구에 따르면 허리케인은 기후변화 때문에 상륙한 후, 약해지는 데 더 오랜 시간이 걸리며 훨씬 더 먼 내륙 지역 사회에 대혼란을 일으킬 수 있다는 것이다.
오키나와 과학기술대학원 ‘피나키 차크라보티(Pinaki Chakraborty)’ 유체역학 교수는 1967년과 2018년 사이에 북대서양에 상륙한 이후 발생한 폭풍에 대한 데이터를 분석했다. 그 결과, 최근의 허리케인들이 육지에 상륙한 첫날에 약 50%의 강도가 감소했는데 약 75% 약해진 과거 1960년대의 허리케인보다 훨씬 적은 수치라는 것이다.
이와 같이 허리케인의 느려진 속도는 같은 기간 해수면 온도 변화와 거의 일치했다는 것이다. 이 사실은 컴퓨터 시뮬레이션에서 더 정확하게 드러났다. 허리케인에 더 많은 습기를 유지하게 만들고, 육지에 도달한 후에도 계속해서 열 에너지원으로 활용되고 있는 것은 바로 지구 온난화 영향이었다.

결국, 주범은 지구 온난화
과학자들은 오래전부터 지구 온난화와 허리케인의 관계를 규명하기 위해 노력해왔다. 일반적으로, 지구 온난화로 해수면 온도가 높아지면, 대기 중 수증기 양이 많아져서 태풍 강도가 세질 수 있다는 것이 정설이다.
이를 뒷받침하는 연구 결과들도 속속 나오고 있다. 지난 2020년 5월 18일 자, 유에스에이 투데이(USA TODAY)에는 “우리가 날씨를 통제할 수 없다고 누가 그래?”라는 제하의 기사가 실렸다.
인간이 초래한 지구 온난화가 전 세계의 허리케인, 태풍, 사이클론 등의 풍속을 강화했다는 새로운 연구 결과를 소개하는 내용이었다. 예를 들면, 5등급 허리케인 도리안이 지난 2019년에 시속 185마일의 힘으로 바하마 일부 지역을 황폐화한 이유도 바로 이 때문이라는 것이다.
연구팀은 40년간의 위성 사진들을 조사했다. 그중의 한 명인 제임스 코신(James Cosine) 국립해양대기청(NOAA) 연구원은 “우리의 연구 결과는 이러한 폭풍들이 전 지구 수준에서 더 강해지고 있다는 것을 보여주며, 허리케인이 온난화에 어떻게 반응하는지에 대한 기대와 일치한다.”라고 말했다.
MIT 공대의 허리케인 전문가 케리 에마누엘(Kerry Emanuel) 박사는 “이 연구 결과는 예상과 많이 일치한다.”고 뉴욕타임스(NYT)와의 인터뷰에서 말했다. 이 연구팀에 따르면, 허리케인은 3등급 이상이 될 가능성이 지난 40년 이후 각각 증가했으며, 허리케인에 의한 사망과 파괴의 대부분은 3등급 이상에서 나온다는 것이다.
코신 박사는 통계적으로 유의미한 결과를 입증하기 위해 더 많은 허리케인 사례 연구가 필요하다고 밝혔지만, 앞선 연구 결과로도 지구 온난화에 대한 경각심을 던져주기에는 충분했다.
- 조행만 객원기자
- chohang2@empas.com
- 저작권자 2021-08-05 ⓒ ScienceTimes
관련기사

뉴스레터



